![]() |
詳細情報 |
| 種別 | 売土地 | 物件番号 | 23438 | 管理コード | SL0178 |
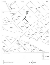
| 所在地 | 山口県防府市大字富海2586番 | ||||
| 価格 | ¥100万 | その他 | --- | ||
| 校区(小学校) | 富海 | 校区(中学校) | 富海 | ||
| 土地面積 | 189.4u (57.29坪) | ||||
| 設備 | 電気、上水道、下水道、側溝、プロパンガス | ||||
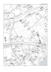
| 交通 | JR山陽本線 富海駅まで470m | ||||
| 地目 | 宅地 | 区域区分 | 市街化区域 | 用途地域 | 第一種住居 |
| 建ぺい率 | 60% | 容積率 | 200% | ||
| 取引態様 | 仲介 | 区画数 | --- | ||
| 備考 | --- | ||||
画像をクリックすると大きな画像が表示されます。
![]() |
![]() |
![]() |
![]() |
|
| ||||||||||||||||||||||||||||